Sanacija zidu v Mostah po ujmi
Dne 7.5. 2025 je župan na podlagi Zakona o javnem naročanju, izdal SKLEP O ZAČETKU POSTOPKA ODDAJE JAVNEGA NAROČILA.
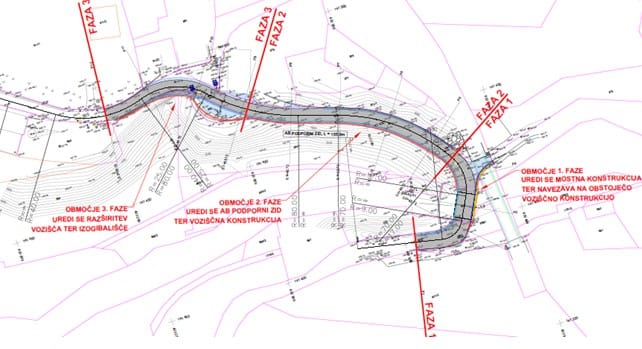
Naročnik pričenja postopek oddaje javnega naročila za predmet »Sanacija opornega zidu ob in pod LC 150011 v Mostah – faza 2 in faza 3«.
Ocenjena vrednost javnega naročila, temelji na projektantskem predračunu, znaša 1.492.639,01 EUR z DDV.
S tem bomo zaključili sanacijo po ujmi v naši občini za katero je večino sredstev zagotovila država.
O izbiri izvajalca in pričetku izvajanja del vas obvestimo naknadno.

